L’alchémille commune est une plante très intéressante en permaculture.
C’est une plante vivace au feuillage généreux et présent une bonne partie de l’année. Une fois en place, elle demande peu d’entretien, hormis l’ajout régulier de paillage pour assurer un sol humide à son pied.
Elle s’adapte à tous types de sols et d’expositions et résiste très bien aux températures négatives.
On l’utilise :
- En couvre-sol : elle forme de belles touffes de feuillage qui protègent le sol et le préservent de la sécheresse. Elle est ainsi utile dans les massifs ou au pied des arbustes.
- En bordures : l’alchémille est parfaite pour souligner une bordure, le long d’un chemin. Elle enrichit ainsi votre design et est un élément supplémentaire favorisant la biodiversité.
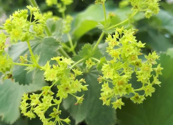
- En tant que plante d’ornement : très jolie plante, on apprécie l’alchémille autant pour son feuillage que pour ses petites fleurs vert anis. Elle trouve donc toute sa place au jardin et dans vos bouquets pour décorer la maison.
- En infusion pour ses bienfaits pour la santé.
Famille
Rosaceae
Taille adulte (H.xL.)
0.45m x 0.6m
Caractéristiques
-
Couleur de fleurs
-
Couleur de feuilles
-
Ombre, Mi-ombre, Plein soleil
-
Sol humide
-
Résiste jusque -35°
-
Strate couvre-sol
-
Comestibilité
-
Médicinale
-
Caduc
Spécificités
Liées aux éléments
- Ne tolère pas la pollution
- Résiste au gel
Liées au sol
- Préfère un sol bien drainé
- Tolère un sol argileux lourd
- Tolère un sol pauvre
Autres spécificités
- Culture en pot
- Ornementale
Le sol
-
PH
Acide, Neutre, Basique
-
Fertilité
Moyenne
-
Texture
Limoneux, Sableux, Argileux
Comestibilité
-
Note
1/5
Parties comestibles
- Feuilles
Les jeunes feuilles sont comestibles, même si elles peuvent être légèrement amères.
On peut les consommer crues, en salade.
Les feuilles plus coriaces, quant à elles, gagneront à être cuites dans plusieurs eaux avant consommation afin d’atténuer leur astringence.
Récolte des feuilles
La plante
-
Racines
Rhizome
-
Croissance
Moyenne
Conduite de culture
-
Semis
Facile
-
Semis sous abri
Facile
-
Bouturage
Non
-
Division
Facile
-
Entretien
Fréquent
Semis
Deux types de semis sont possibles :
- dans des godets individuels placés sous un abri frais, de février à avril ;
- en pleine terre en mai-juin dans un sol meuble.
Division
L’automne est une bonne saison pour diviser les plants trop touffus.
Vous pouvez replanter directement les plants en pleine terre.
Ou les mettre en pots à l’abri avant de les réinstaller à leur emplacement définitif.
Plantation
Installez les plants dans un sol bien drainé.
Veillez à maintenir le sol humide en pratiquant le paillage.
Calendrier de culture
Semis
Plantation
Cycles naturels
En feuille
Floraison
Médicinal
-
Note
1/5
L'utilisation de plantes en traitement médical n'est pas un acte à prendre à la légère. Certaines plantes peuvent provoquer des interactions néfastes si elles sont utilisées en même temps que d'autres plantes ou médicaments. En cas de doute, avant de les utiliser, parlez-en à votre spécialiste de santé !
Parties médicinales
- Feuilles
Les jeunes feuilles de l’alchémille peuvent être consommées en infusion.
Plante utilisée dans les formations suivantes :
Protégez-vous des pollutions, du gibier, des regards, produisez du bois, de la nourriture… nos haies en permaculture à choisir et à planter !
En savoir plusDémultipliez vos récoltes grâce aux guildes de permaculture !
En savoir plus



